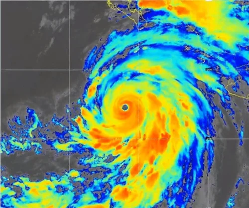
लॉस एंजिल्स, उष्णकटिबंधीय तूफान हिलेरी ने दक्षिणी कैलिफोर्निया में दस्तक दे दी है, जहां कम से कम नौ मिलियन लोग बाढ़ की चेतावनी के अधीन हैं।
यूएस नेशनल हरिकेन सेंटर ने रविवार को कहा, ” तूफान से दक्षिण-पश्चिमी अमेरिका में भारी बारिश व बाढ़ की आशंका है। ”
यह 84 वर्षों में राज्य का पहला उष्णकटिबंधीय तूफान है। लॉस एंजिल्स के मेयर करेन बास ने इसे “अभूतपूर्व मौसम घटना” कहा है।
बीबीसी की रिपोर्ट के अनुसार, हिलेरी के चलते मेक्सिको के बाजा कैलिफ़ोर्निया प्रायद्वीप में 70 मील प्रति घंटे (119 किमी/घंटा) की तेज़ हवाएं चल रही हैं, जहां एक व्यक्ति की मौत हो गई।
अमेरिकी मौसम विज्ञानियों ने बाढ़ की आशंका की चेतावनी दी है।
एजेंसी ने कहा, “वर्षा सेे विनाशकारी बाढ़ के कारण जीवन को खतरा की आशंका है। भूस्खलन की भी संभावना है।“
इसमें कहा गया है, “हिलेरी द्वारा उत्पन्न बड़ी लहरें एक-दो दिनों में बाजा कैलिफोर्निया प्रायद्वीप और दक्षिणी कैलिफोर्निया के कुछ हिस्सों को प्रभावित करेंगी। इन लहरों से जीवन के लिए खतरा पैदा होने की संभावना है।”
ब्रिटिश समाचार प्रसारक ने विशेषज्ञों का हवाला देते हुए बताया कि हाल की असामान्य मौसम की घटनाओं ने अमेरिका और अन्य देशों को प्रभावित किया है, जो मानव-जनित जलवायु परिवर्तन से प्रभावित हैं।


Leave feedback about this